Home
Map
Browse Map
Explore away
Explore Map Collection
Check out our basemaps
Print a Map
Plus
Generate a high-quality PDF
Field Guide
Field Guide
Discover local flora, fauna, geology, and more
Local Flora & Fauna
Learn the ecology of your area
Local Geology
Learn the geologic formation at your feet
Get Started
or
Sign In
Welcome
Sign up to start exploring the one-of-a-kind Natural Atlas Topo map
Continue with Apple
Or
Sign up with Email
Already have an account?
Sign In
MAP
Topo
Waterfalls
Rock Formations
Campgrounds
Trails
Boat Launches
National Parks
State Parks
Scenic Spots
Measure
You must upgrade to measure routes
Start Free Trial
0 ft
Max
0 ft
Copyright
© Natural Atlas
| Roads, Buildings
© OSM Contributors
|
Data Sources
Topo
Ecoregions
Public Lands
...
BASEMAPS
Default Weather
Temperature
Smoke
...
WEATHER
View All Photos
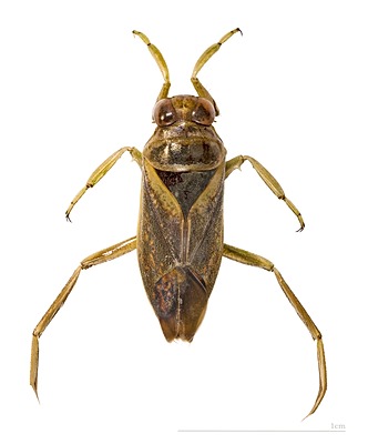
Notonectidae
family
“Backswimmers”
On the Web
On Wikipedia
Notonectidae is a cosmopolitan family of aquatic insects in the order Hemiptera, commonly called backswimmers because they swim "upside down" (inverted). They are all predators and typically range from 0.5 to 1.5 cm (0.2–0.6 in) in length. They are similar in appearance to Corixidae (water boatmen), but can be separated by differences in their dorsal-ventral coloration, front legs, and predatory behavior. Their dorsum is convex, lightly colored without cross striations. Their front tarsi are not scoop-shaped and their hind legs are fringed for swimming. There are about 350 species in two subfamilies: Notonectinae with seven genera, and Anisopinae with four genera. Members in the former subfamily are often larger than those in the latter.Backswimmers swim on their backs, vigorously paddling…
Read More on Wikipedia
Your Checklist
You have noted
0
Notonectidae
Learn How to Take A Field Note
Range Map
Range Maps show
field notes recorded by Natural Atlas contributors
and other datasets via
GBIF.org
Your Notes
Join Natural Atlas to keep track of the
what
you see on your outings.
Join Natural Atlas
Already have an account?
Sign In
Top Observers
Search
Search the outdoors
Map
Plans
Field Guide
Community
My Profile
My Trips
0
My Field Notes
0
Notifications
More